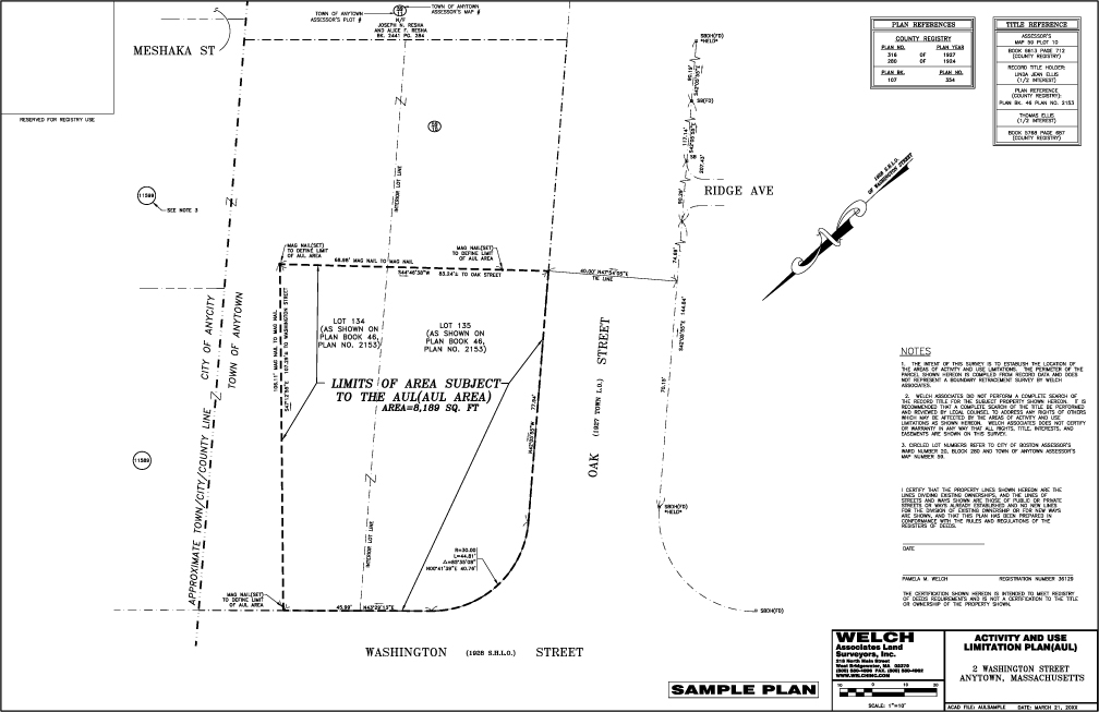
RIVERS / ENVIRONMENTALUtilizing our company boat and well trained personnel, Welch performs surveys of river beds and reservoirs in the New England area. Wetland flags and other environmental resource area delineations are surveyed and mapped for use in the design of various projects. To aid in defining significant hazardous waste areas, Welch performs AUL surveys which are then put on record with the appropriate government agencies. The staff at Welch are also 40 hour OSHA certified.
|









